


物件詳細Details
| 所在地 | 相生市那波東本町 |
|---|---|
| 交通 | JR山陽線相生駅より徒歩約10分 |
| 地目 | 宅地外 |
| 用途地域 | 第1種中高層住居専用地域 |
| 建ぺい率 | 60% |
| 容積率 | 200% |
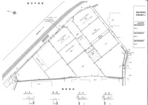
| 総区画数 | 7区画 |
| 今回販売区画数 | 6区画 |
| 学校区 | 那波小学校、那波中学校 |
| 建築条件 | 無 ご希望の建築業者でお建て下さい |
| 現況 | 2期の位置指定道路工事中 |
| 地勢 | 平坦 |
| 都市計画 | 市街化区域 |
| 法令上の制限 | 法22条地域、土砂災害警戒区域 |
| 地区計画 | 無 |
| 地区計画 | 無 |
| 引き渡し | 相談 |
| 接道状況 | 道路位置指定幅員6.0mもしくは42条2項道路に2m以上接する。(セットバック済み) 区画図を参照 |
| 設備 | 上下水道、側溝、電気、プロパンガス個別 |
| 取引態様 | 一般媒介(仲介) |








